成約済み
新着物件
当社限定物件
建築条件なし土地
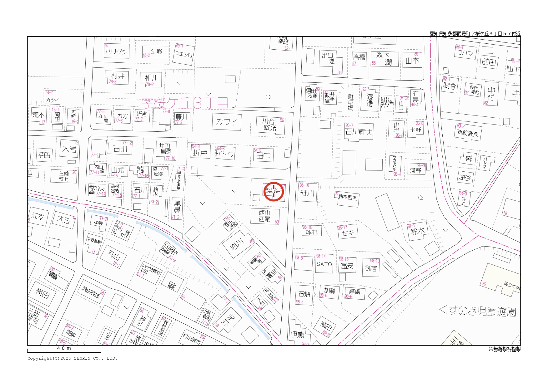
武豊町桜ケ丘三丁目 ☆土地 B区画☆ 建築条件なし 坪単価13.2万円
_page-0001.jpg)


_page-0001.jpg)
_page-0001.jpg)
_page-0001.jpg)
価格
1,350万円
坪単価
13.2万円
- 所在地
- 知多郡武豊町字桜ケ丘三丁目58-1 他2筆(Google Map)
- 交通
- 名鉄河和線「武豊」駅 徒歩約18分
| 上水道 | 水道(公営) | 下水道 | 公共下水 |
|---|---|---|---|
| ガス | 都市ガス | 電気 | 有 |
| 取引態様 | 専任 | ||
| 引渡/入居時期 | 相談 | 現況 | 更地 |
| 地目 | 宅地 畑 | ||
| 用途地域 | 第一種中高層住居専用地域 | その他の地域地区 | なし |
| 都市計画 | 市街化区域 | 地勢 | 平坦 |
| 土地面積 | 338.23㎡(約102.3坪) | 土地面積計測方式 | 実測 |
| セットバック | 有 | ||
| 建ぺい率 | 60% | 容積率 | 150% |
| 土地権利 | 所有権 | 接道状況 | 一方 |
| 接道方向1 | 東 | 接道間口1 | 約4.0m |
| 接道種別1 | 公道 | 接道幅員1 | 3.89~3.93m |
| 位置指定道路1 | 無 | ||
| 接道方向2 | --- | 接道間口2 | m |
| 接道種別2 | --- | 接道幅員2 | m |
| 位置指定道路2 | --- | ||
| 国土法届出 | --- | ||
| 近隣施設 | 武豊町立緑丘小学校まで:徒歩12分(950m) 武豊町立武豊中学校まで:徒歩14分(1100m) 武豊町立六貫山保育園まで:徒歩4分(270m) ファミリーマート武豊桜ケ丘店まで:徒歩5分(400m) MEGAドン・キホーテUNY武豊店まで(1600m) 武豊六貫山郵便局まで:徒歩9分(650m) 医療法人赫和会杉石病院まで(1000m) |
||
| 立地・土地の特徴 | 土地50坪以上 閑静な住宅街 平坦地 2沿線以上利用可 | ||
| 自社物 | --- | 状態 | 成約済み |
| 法令上の制限 | 砂防法 | ||
| その他の制限 | |||
| 物件番号 | 056 | ||
| 情報登録日 | 2026年2月5日 | 情報更新日 | 2026年2月12日 |
敷地面積 約102.3坪で広々
☆建築条件なし
☆武豊町立六貫山保育園まで徒歩4分
☆ファミリーマート武豊桜ケ丘店まで徒歩5分
☆武豊町立六貫山保育園まで徒歩4分
☆ファミリーマート武豊桜ケ丘店まで徒歩5分
☆ライフラインの引込に別途費用がかかります。
☆建築基準法第22条区域
☆宅地造成等工事規制区域
☆建築基準法第22条区域
☆宅地造成等工事規制区域
物件掲載内容と現況に相違がある場合は現況を優先といたします。
